3 000 000 Р 38 950 $ или 32 880

Информация о гараже

5 м2
Площадь

Территория

СТО
рядом
Автомойка
рядом
Развернуть
Агент
+7 (923) 074-22-49
Начать чат с агентом

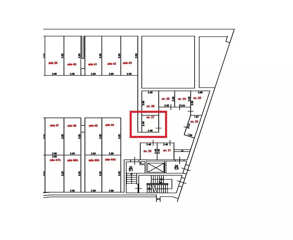
Гараж в Москва Шелепихинская наб., 34к5 (5 м)

Продам кладовку в ЖК Сердце столицы Кладовка находится под 1м подъездом в здании 9 (Адрес: Шелепихинская наб. 34, корп. 5). Площадь кладовки - 5 кв. м. Звоните

Читать полностью

    Для того, чтобы купить гараж площадью 5 кв. метров по адресу: м. Шелепиха, Шелепихинская наб., 34к5, позвоните по телефону +7 (923) 074-22-49. Торопитесь! Объявление №40003163539 о продаже гаража площадью 5 кв. метров опубликовано Сегодня.

    Позвонить Написать
    3 000 000 Р38 950 $ или 32 880
    Агент
    +7 (923) 074-22-49
    Начать чат с агентом
    Похожие предложения
    Гараж в Москва Шелепихинская наб., 34к1зд5 (6 м) - Фото 1
    Гараж в Москва Шелепихинская наб., 34к1зд5 (6 м) - Фото 2
    общая площадь 6м²

    Продажа кладового помещения в ЖК Сердце СтолицыАдрес: Шелепихинская набережная, д. 34, корп. 1 (подземный паркинг -2 уровень, под зданием 5).Характеристики:•общая площадь: 6,2 м;•высота потолка: 5,0 м;•дополнительная защита стен: профлист (до потолка);•установлены...
    • 6 м²
    3 000 000 Р
    Агент
    +7 (923) Показать номер
    Посмотреть контакты
    Гараж в Москва Шмитовский проезд, 32С1 (14 м) - Фото 1
    Гараж в Москва Шмитовский проезд, 32С1 (14 м) - Фото 2
    общая площадь 14м²

    Код объекта: 2001119.Продаётся машиноместо площадью 14,3 кв. м в многоуровневой парковке по адресу Шмитовский проезд, 32с1. 1 собственник. На территории охрана, электричество, отопление, водопровод , вентиляция и смотровая яма. Позвоните нам прямо сейчас,...
    • 14 м²
    3 000 000 Р
    Агент
    +7 (910) Показать номер
    Посмотреть контакты
    Просторное машиноместо - Фото 1
    Просторное машиноместо - Фото 2
    Просторное машиноместо - Фото 3
    Просторное машиноместо - Фото 4
    Просторное машиноместо - Фото 5
    Просторное машиноместо - Фото 6
    Просторное машиноместо - Фото 7
    Просторное машиноместо - Фото 8
    Просторное машиноместо - Фото 9
    Просторное машиноместо - Фото 10
    Просторное машиноместо - Фото 11
    Просторное машиноместо - Фото 12
    Просторное машиноместо - Фото 13
    Просторное машиноместо - Фото 14
    Просторное машиноместо - Фото 15
    Просторное машиноместо - Фото 16
    Просторное машиноместо - Фото 17
    Просторное машиноместо - Фото 18
    Просторное машиноместо - Фото 19
    Просторное машиноместо - Фото 20
    общая площадь 13.9м²

    Мотоместо номер 10 общей площадью 13.9 кв. м на -1-м этаже в ЖК "1-й Измайловский".
    • 13.9 м²
    2 980 000 Р
    Агент
    +7 (495) Показать номер
    Посмотреть контакты
    Просторное машиноместо - Фото 1
    Просторное машиноместо - Фото 2
    Просторное машиноместо - Фото 3
    Просторное машиноместо - Фото 4
    Просторное машиноместо - Фото 5
    Просторное машиноместо - Фото 6
    Просторное машиноместо - Фото 7
    Просторное машиноместо - Фото 8
    Просторное машиноместо - Фото 9
    Просторное машиноместо - Фото 10
    Просторное машиноместо - Фото 11
    Просторное машиноместо - Фото 12
    Просторное машиноместо - Фото 13
    Просторное машиноместо - Фото 14
    Просторное машиноместо - Фото 15
    Просторное машиноместо - Фото 16
    Просторное машиноместо - Фото 17
    Просторное машиноместо - Фото 18
    Просторное машиноместо - Фото 19
    Просторное машиноместо - Фото 20
    общая площадь 18.3м²

    Мотоместо номер 1 общей площадью 18.3 кв. м на -1-м этаже в ЖК "1-й Саларьевский".
    • 18.3 м²
    2 970 000 Р
    Агент
    +7 (495) Показать номер
    Посмотреть контакты
    Просторное машиноместо - Фото 1
    Просторное машиноместо - Фото 2
    Просторное машиноместо - Фото 3
    Просторное машиноместо - Фото 4
    Просторное машиноместо - Фото 5
    Просторное машиноместо - Фото 6
    Просторное машиноместо - Фото 7
    Просторное машиноместо - Фото 8
    Просторное машиноместо - Фото 9
    Просторное машиноместо - Фото 10
    Просторное машиноместо - Фото 11
    Просторное машиноместо - Фото 12
    Просторное машиноместо - Фото 13
    Просторное машиноместо - Фото 14
    Просторное машиноместо - Фото 15
    Просторное машиноместо - Фото 16
    Просторное машиноместо - Фото 17
    Просторное машиноместо - Фото 18
    Просторное машиноместо - Фото 19
    Просторное машиноместо - Фото 20
    общая площадь 14м²

    Мотоместо номер 107 общей площадью 14 кв. м на -1-м этаже в ЖК "1-й Измайловский".
    • 14 м²
    3 080 000 Р
    Агент
    +7 (495) Показать номер
    Посмотреть контакты

    Не нашли подходящего объявления?

    Оставьте заявку, и наши риэлторы подберут гараж в районе Москвы

    (0)